Posted on 17.12.25 05:24 America/New_York

Lands For Sale
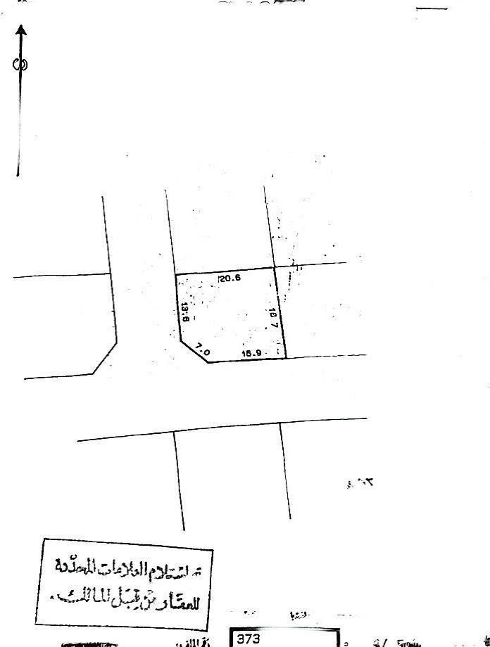
For sale, a land in Muqaba, a prestigious area with paved streets, behind Makro and Mart. Classification RA. Area 373 square meters, located on two streets and a corner. Price required is 29 dinars per foot, total price 116,434 thousand dinars. Nizar Al-Saghir Abdul Fattah Hassan, Future Path Real Estate. All properties required directly from the owner.
المحافظة الشمالية, البحرين
Any issue? Report this ad